Einstein
description: 2000 bay Quarter Horse cross gelding
type of rescue: Snohomish County Animal Control seizure
intake date: 4/3/2015
adoption date: 7/10/2015
length of time at SAFE: 3 months
ADOPTED by Michel H of Lake Tapps, WA
Einstein’s Story: Einstein is a 15 year old Quarter Horse type gelding seized by Animal Control for lack of care. He came in underweight with terrible feet, and seemed very unsure about all the new people and horses that surrounded him upon arriving at Safe Harbor. But within weeks of his arrival, he started his transformation…beginning with acceptance and trust, then blossoming into something looking suspiciously like happiness. Once Einstein gained back enough weight, we started trying him under saddle and discovered that there was a lovely riding horse in our midst. Einstein found his forever home with the same family that adopted Skye and Strider. At the end of 2021, Einstein and his adopter moved to Pennsylvania, along with Skye and Strider. In November 2022, after months of declining health, including significant weight loss and difficulty getting up after lying down, Einstein was humanely euthanized at the age of 22.
Alumni Visit with Anakin, Strider, Einstein, and Kai
We had the amazing good fortune to visit some old friends recently: Anakin, Kai, Einstein, and the big hoss Strider. All four boys are living the good life in their neighboring adoptive homes. Thank you so much to Barb and Michel for inviting us over! Can’t wait til next time!
Thank you to Lisa Garr for the photos!
Einstein Finds a Family!
We are excited to tell everyone that Einstein is on an adoption trial. He has settled into the farm and is getting to know the other family horses…Strider and Skye! Yes you heard me right, Michel contacted SAFE soon after Einstein had been rescued. She has been looking for a light riding companion to add to their farm and thought this bay boy might fit in well with a few other bays! After SAFE had some time to put weight on him and evaluate him as a riding horse, Michel and her daughter Corrine, Skye’s adopter, came to take him for a test ride. He was a perfect gentleman and worked well them. Michel came again a few weeks later and took a lesson with visiting clinician Michael Sparling. She was clearly smitten with Mr. Einstein and couldn’t hide the big smile on her face and how happy she was to be riding him.
Einstein is not without faults and his confirmation limits him to light work and some considerations have to be made for his overall stiffness. He left SAFE still needing a lot of attention for the rehabilitation of his hooves, which on average can take 6 month to a year to completely sort out. In consideration of this, we have given Michel and extended adoption trial period to see that he can hold up to the work that she will be asking of him. It is important to us that the match is right for both of them.
I spoke with Michel earlier this week and 30 days into the trail she is happy with him and said that he fits well into the herd. They have been able to turn him out in the field with Skye and they are all getting along well. Their neighbor Barbara adopted Kai earlier this year and so the SAFE bay alumni are truly taking over the neighborhood! We are happy this trial is going well and they are taking their time to get to know him and get his farrier work inline. He is one of the sweetest boys we’ve had and SAFE is lucky to have this amazing family caring for him.
- Einstein at SAFE
- Einstein looking healthy at SAFE
- Michel and Einstein
- Saying see you later to our buddy.
- Onto the next adventure!
- At home in his new extra large stall.
Training Update: Einstein
Einstein is a true smarty-pants! We have introduced tack and a rider’s weight, taking things slowly as he still has some weight and muscle to gain over his back. He has been an absolute gem about everything. He is getting used to the flag work and connects very well to our body language and aids. He is a sensitive guy and he only requires a light amount for “ask” to get the desired response. Volunteer rider Sydney has taken him under her tutelage and he is going to be part of her senior class project. We have also been very happy with his glue on shoes that were donated by farrier Jake Cowden. Einstein was a model horse for the application of the shoes and stood quietly for the preparation of the outer hoof as well as for the glue to “set”. He is moving comfortably with the shoes and we are hopeful that he once he grows his heels out a bit more, perhaps with one more rotation of “glue ons”, we can put a regular set of shoes on him.
A Real Einstein
As we’ve gotten to know Einstein better, we’ve come to understand that he’s a pretty amazing horse. When he first arrived at Safe Harbor, after three weeks in Animal Control custody, he was pretty unsure about just about everything, so he spent his first few days acting rather withdrawn, silently observing the bustle of activity around him. But it really didn’t take very long for him to relax and start coming out of his shell. Pretty soon, he started to look like a different horse…not only because he’s been groomed within an inch of his life, as is the standard with all the horses at Safe Harbor, but because the look on his face has softened — and brightened — as he’s begun to open up to his new friends. He looks happy now, and that is a sight to see!
Terry and her training crew figured out pretty quickly that Einstein was well started under saddle, and so he’s being ridden at Safe Harbor on a regular basis. The rides are kept short and non-taxing because he’s still not 100% back to full weight but he seems to be enjoying himself as much as our riders are enjoying him. Here are some videos that show the progress he’s made. In a perfect world, these would be edited together into some semblance of order, but we don’t seem to have the time to do that, so you’ll just have to settle for having them all posted in one place. Enjoy!
First ride
Third ride
First free ride, looking nice and relaxed!
Working at the mounting block, a skill that even well trained horses often need to work on!
Einstein and Sydney
Einstein’s Glue On Shoes
Einstein is being restarted as a riding horse at Safe Harbor. So far he’s been very good but we’re taking things slowly because he still needs to gain a bit more weight and muscle. We also had to take some steps to help him be more comfortable on his feet, starting with new glue-on shoes. Big thanks to farrier Jake Cowden for the shoes! Einstein already looks more comfortable!
Einstein and Ivy at play!
Sometimes goofy horses just need time to be goofy. But look at how deftly Ivy moves Einstein around the arena.…almost as if he were…a cow? Does Ivy have a secret past as a cutting horse?
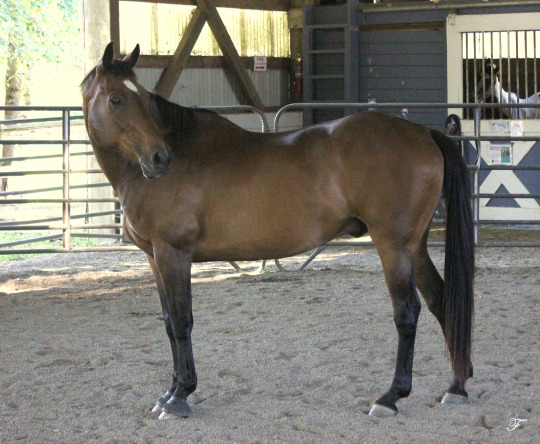
Einstein Intake Photos
Einstein is a 15 year old Quarter Horse gelding seized by Animal Control for lack of care. He’s already gained about 50 pounds since he was taken from his home, and he’s starting to shed his scruffy starvation coat. His hooves are going to need a lot more care as they were very flared with underrun heels when he came in. The condition of his hooves seem to be having an effect on his movement, he seems pretty stiff and possibly footsore, which hopefully will improve in him. Einstein is a nice boy, very polite, a little unsure about the big changes that have taken place in his life, but he is starting to get a little more confident and friendly. He also has a lot of energy, which is to be expected with good food in his belly. We’re told that he is a riding horse but it will be a while before we can confirm that for ourselves. More to come!











































